몇년동안 세무사에게 돈 주고 맡겼는데 한번 직접 해보니 지금까지 쓴 돈이 아까울 정도로 너무 간단했다. FBAR 신고 의무가 있는 분들이라면 10분만 투자하면 매년 치킨 세마리 값은 아낄 수 있다.
방법은 간단하다.
1. FBAR 온라인 신고 시스템 접속
BSA E-Filing
WARNING! WARNING! WARNING! THIS SYSTEM IS PROVIDED FOR AUTHORIZED USE ONLY This system/website is the property of, operated by, and expressly for the use of the United States Government and the U.S. Department of the Treasury. The information provided on t
bsaefiling1.fincen.treas.gov
2. 회원가입 및 로그인

3. File FBAR 메뉴 클릭
상단 메뉴 중 FILE FBAR > File FBAR (PDF | HTML) 선택

4. FBAR E-filing 방법 선택
e-filing 방법은 두가지가 있다. PDF를 다운로드 해서 작성 후 제출하는 방법과 온라인 포털에서 작성하여 제출하는 방법.
온라인 FBAR은 중간에 저장이 불가하여 기껏 작성해놓은 정보들을 한번에 잃을 수 있으므로 무조건 첫번째 옵션인 PDF를 선택하기를 추천한다. PDF로 보관하면 내년 FBAR 신고에도 활용할 수 있기 때문에 훨씬 유용하다.

5. PDF 다운로드
PDF FBAR 섹션의 'Prepare'버튼을 누르면 파일이 다운로드 된다. Acrobat Reader 로만 파일을 열 수 있으니 신고서 작성에 앞서 아래 링크를 통해 미리 설치해두어야 한다.
Adobe - Download Adobe Acrobat Reader
This website no longer works on Internet Explorer due to end of support. Please use Microsoft Edge or another supported browser.
get.adobe.com
다운로드 된 파일 (FinCEN~으로 시작하는 파일)을 열면 아래와 같은 페이지가 뜬다.

6. 파일명 짓기
예시대로 [이름 FBAR 신고년도]로 파일명을 짓는다.

7. 개인 정보 적기
다음 페이지로 넘어가서 Filer Type, SSN 등의 신고자 정보를 기입한다.
나는 개인이기 때문에 Individual을 선택했다.

신고자의 거주지가 한국인 경우 State란은 적지 않아도 된다.
그리고 해외 계좌 (한국에 보유한 계좌)가 25개 이상인 경우는 별도로 체크해야 한다.

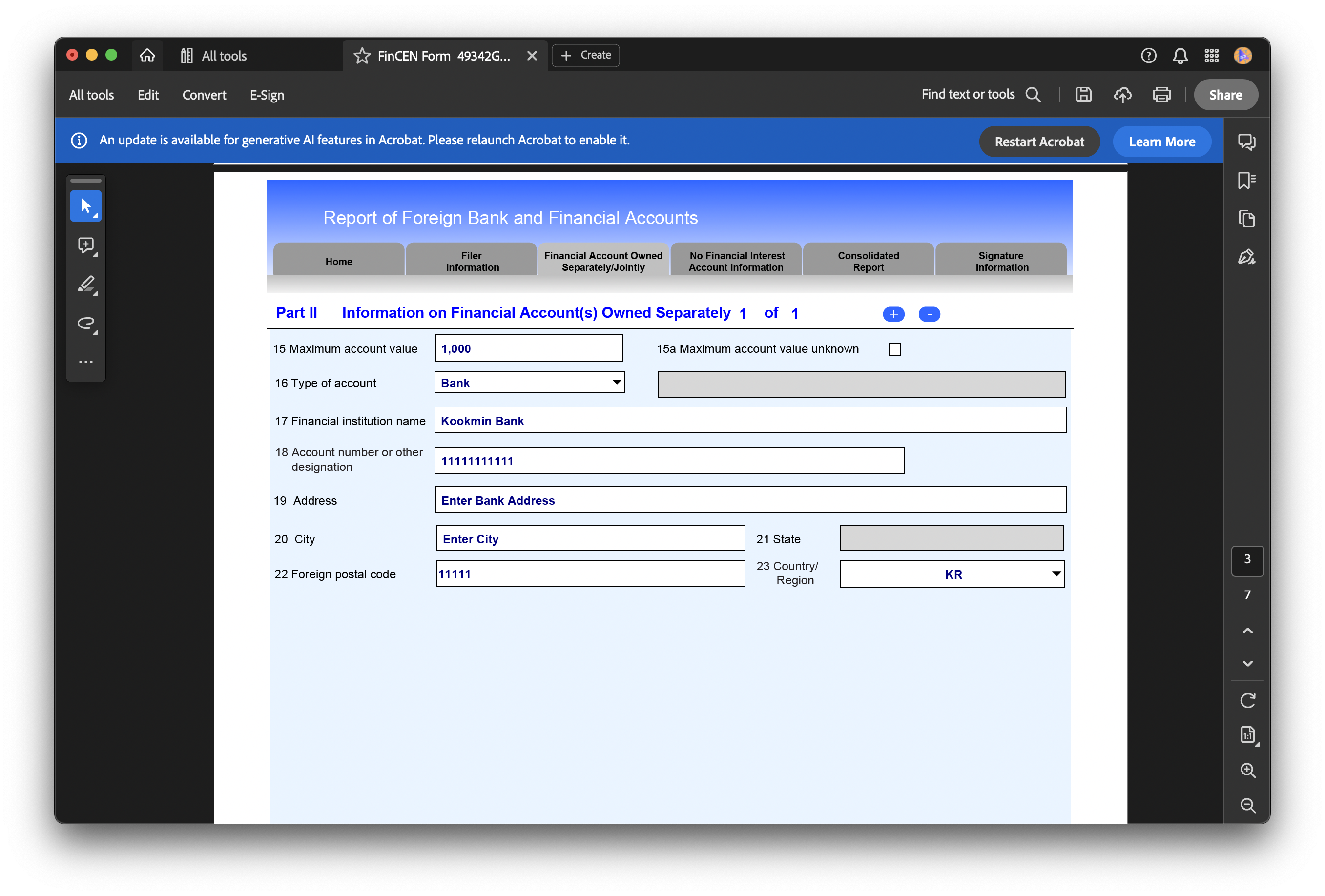
8. 계좌 정보 적기
해당년도에 보유했던 계좌번호와 기타 정보를 적는다. 은행 영문명과 영문 주소는 구글에 검색하면 뜨니 복사 붙여넣기 하면 되고, 'Maximum account value'에 연간 최고 보유 금액을 적으면 된다. 모르는 경우 'unknown'을 선택하면 되니 모른다고 너무 걱정하지 않아도 된다. 한국 주소인 경우 State는 빼고 적으면 된다.
계좌가 여러개인 경우, 상단에 플러스 버튼을 눌러 Form을 추가한다.

9. 사인하기
모든 계좌 정보를 추가한 후, 다시 첫번째 페이지로 돌아가서 'Sign the Form'버튼을 누른다. 그럼 아래와 같은 팝업이 뜨는데, 'Agree'를 누르면 된다.

10. 파일 저장하기
다시 마지막 페이지로 돌아와보면 'Form is signed'라고 되어있다. 이 상태로 파일을 저장하면 된다. (Ctrl+S)

11. 제출하기
다시 e-filing 시스템으로 돌아가 'Submit'을 누른다.

Submit을 누르면 아래와 같은 페이지가 뜬다. 빈칸을 채워넣고 아까 작성한 PDF 파일을 첨부한 뒤 'Submit FBAR' 버튼을 누르면 끝!

보유 계좌 8개에 15분 정도 걸린 것 같다.
생각보다 간단한 FBAR 셀프 신고 과정이었다!
'미국 유학' 카테고리의 다른 글
| 한국에 사는 미국 시민권자/영주권자인데 미국에 세금 신고 해야 하나요? (0) | 2024.04.29 |
|---|---|
| FBAR & FATCA 신고 대상 및 셀프 신고 하는법 (0) | 2024.04.26 |
| 맨하탄 23가 뉴욕 스쿨 오브 비쥬얼 아트 ‘SVA Way’ 의 탄생! (0) | 2024.04.08 |